• Załóż swoje konto!
  • Nie pamiętasz nazwy?
  • Nie pamiętasz hasła?
  • Przejdź do menu
  • Przejdź do treści

phone 89 715 01 10 envelope ratusz@biskupiec.pl

  • A
  • A+
  • A++
Polish English German Russian

Logowanie

biskupiecbiskupiec

citta slow

  • Dla MieszkańcaDla Mieszkańca
  • Dla TurystyDla Turysty
  • Inkubator PrzedsiębiorczościInkubator Przedsiębiorczości
  • Invest in BiskupiecInvest in Biskupiec
  • E-USŁUGIE-USŁUGI
  • O koronawirusieO koronawirusie
  • POWSZECHNY SPIS LUDNOŚCIPOWSZECHNY SPIS LUDNOŚCI
  • Sprzedaż nieruchomościSprzedaż nieruchomości
  • Transport BiskupiecTransport Biskupiec

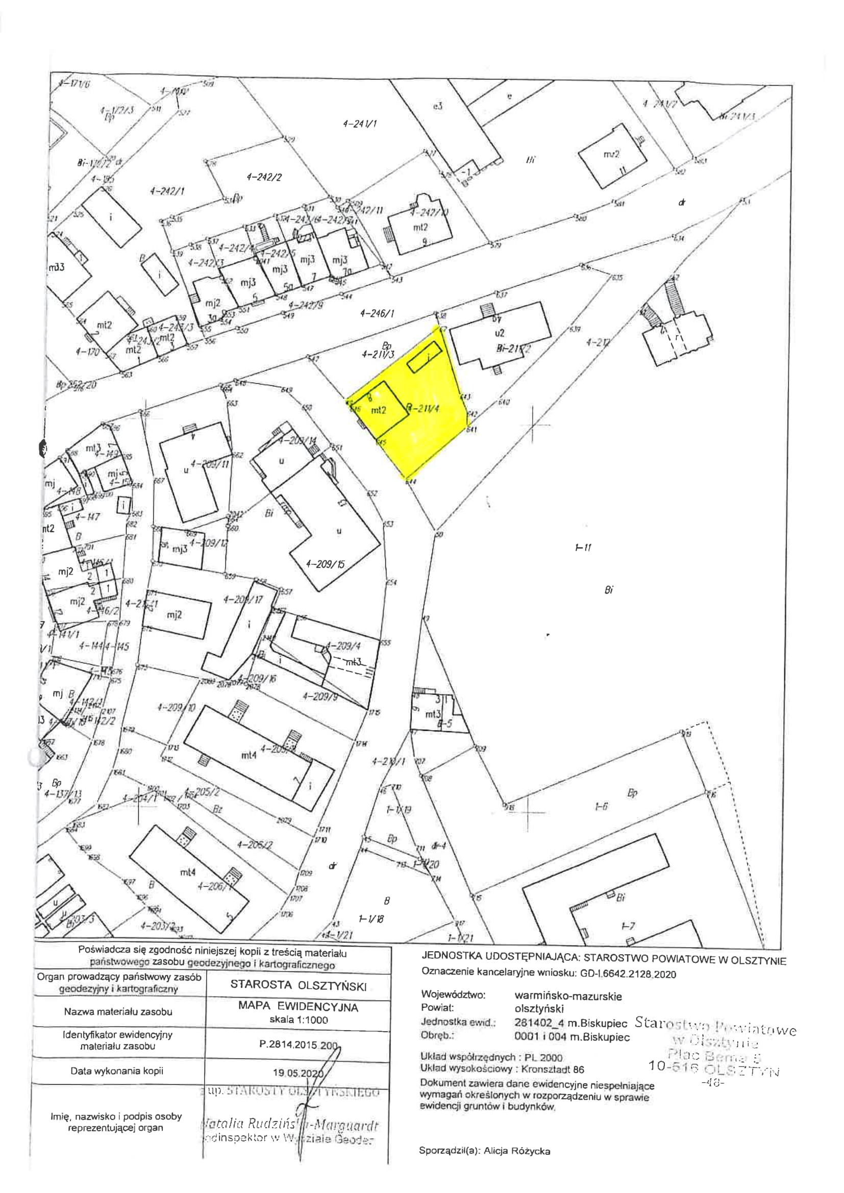
Nieruchomość na sprzedaż

dodano: 25-08-2020

kryniczna

Burmistrz Biskupca ogłasza przetarg na sprzedaż nieruchomości w Biskupcu przy ul. Krynicznej 8.

OGŁOSZENIE O PRZETARGU BC KRYNICZNA 8 1 OGŁOSZENIE O PRZETARGU BC KRYNICZNA 8 2

OGŁOSZENIE O PRZETARGU BC KRYNICZNA 8 3

  • Poprzedni artykuł

Kalendarz wydarzeń

Kwiecień 2026
Po Wt Śr Cz Pi So Nd
30 31 1 2 3 4 5
6 7 8 9 10 11 12
13 14 15 16 17 18 19
20 21 22 23 24 25 26
27 28 29 30 1 2 3
  • Wszystkie wydarzenia

Nasz Facebook

TV BISKUPIEC

Przydatne linki

  • Monitoring jakości powietrza
  • Monitoring jakości powietrza - Plac Wolności
  • Biskupiecka Federacja Sportu
  • Fundusze UE
  • Cittaslow
  • Bramsche - miasto partnerskie
  • Przygarnij Psa lub Kota

prnss

herb wm

effr

Menu:

  • Start
  • Dla Mieszkańca
  • Dla Turysty
  • Inkubator Przedsiębiorczości
  • Invest in Biskupiec
  • E-Usługi
  • Deklaracja dostępności

bip logo footer 

logo

Kontakt:

URZĄD MIEJSKI W BISKUPCU
AL. NIEPODLEGŁOŚCI 2
11-300 BISKUPIEC

TEL: 89 715 01 10
FAX: 89 715 01 50
E-MAIL: ratusz@biskupiec.pl

  • Urząd Miejski w Biskupcu © 2026
  • Wykonanie: sm32 STUDIO
Pliki cookie pomagają nam udostępniać nasze usługi. Korzystając z tych usług, zgadzasz się na użycie plików cookie. Więcej informacji

Wyszukiwanie zaawansowane

Formularz kontaktowy