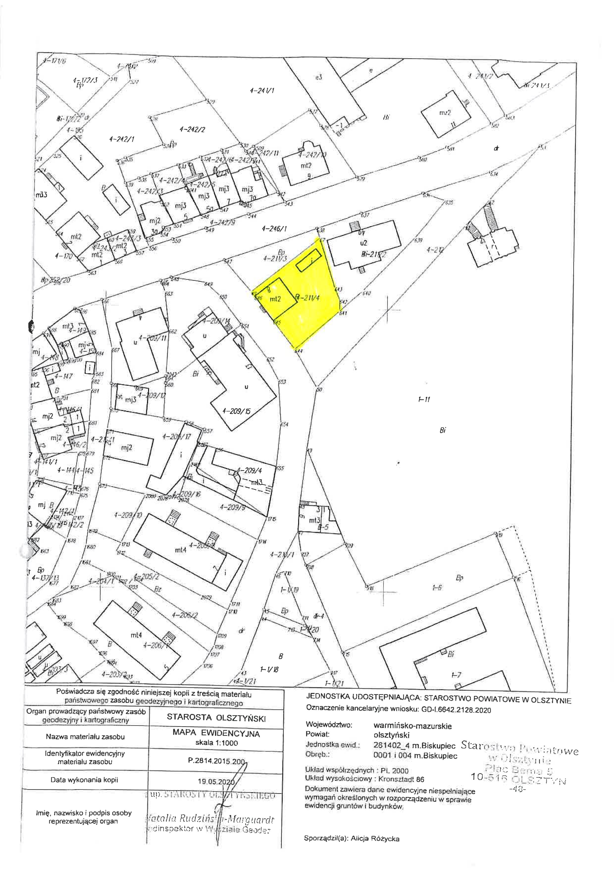
Nieruchomość przy ul. Krynicznej
dodano: 20-10-2020
Przetarg nieograniczony na sprzedaż zabudowanej działki przy ul. Krynicznej.