nieruchomość

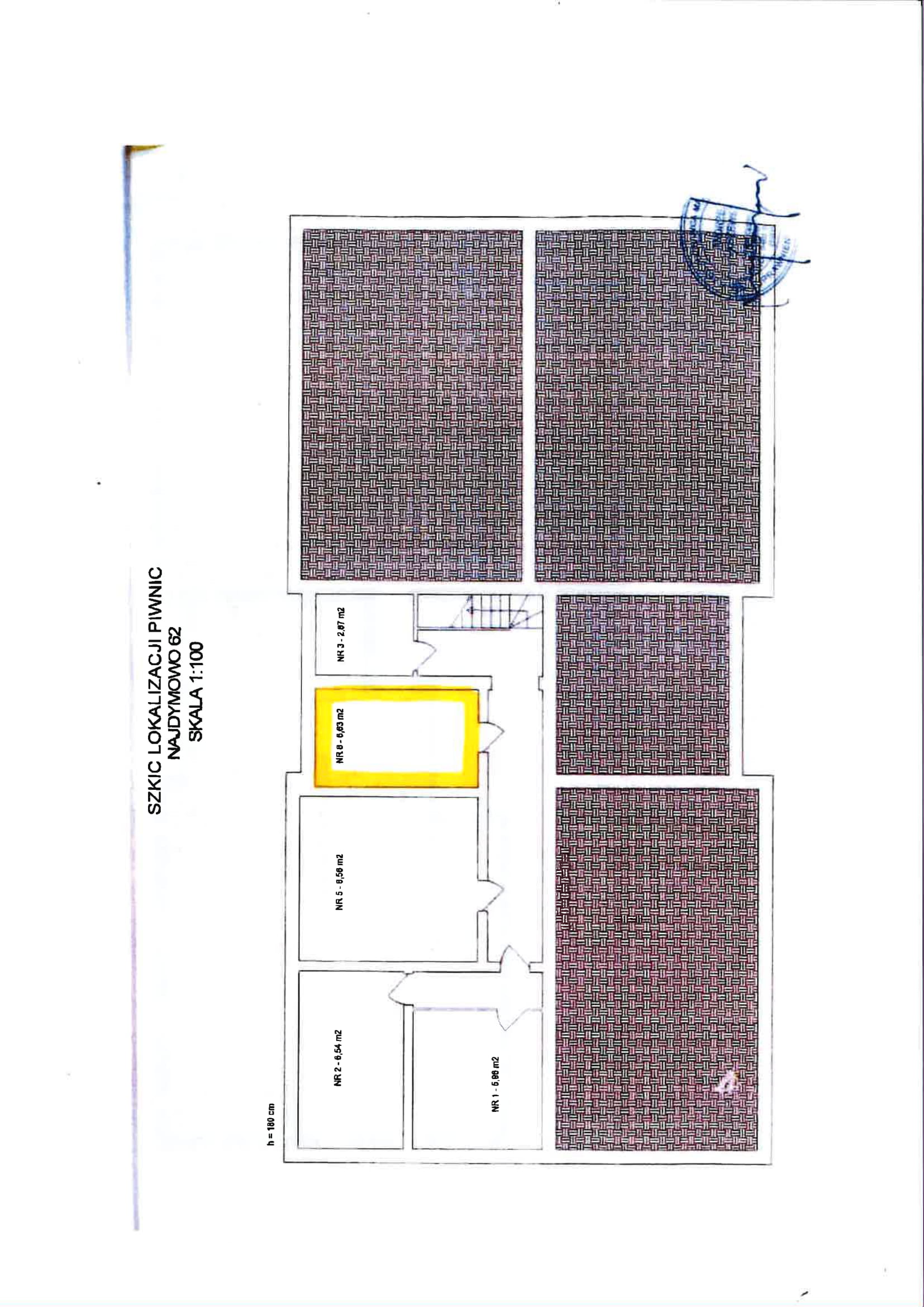
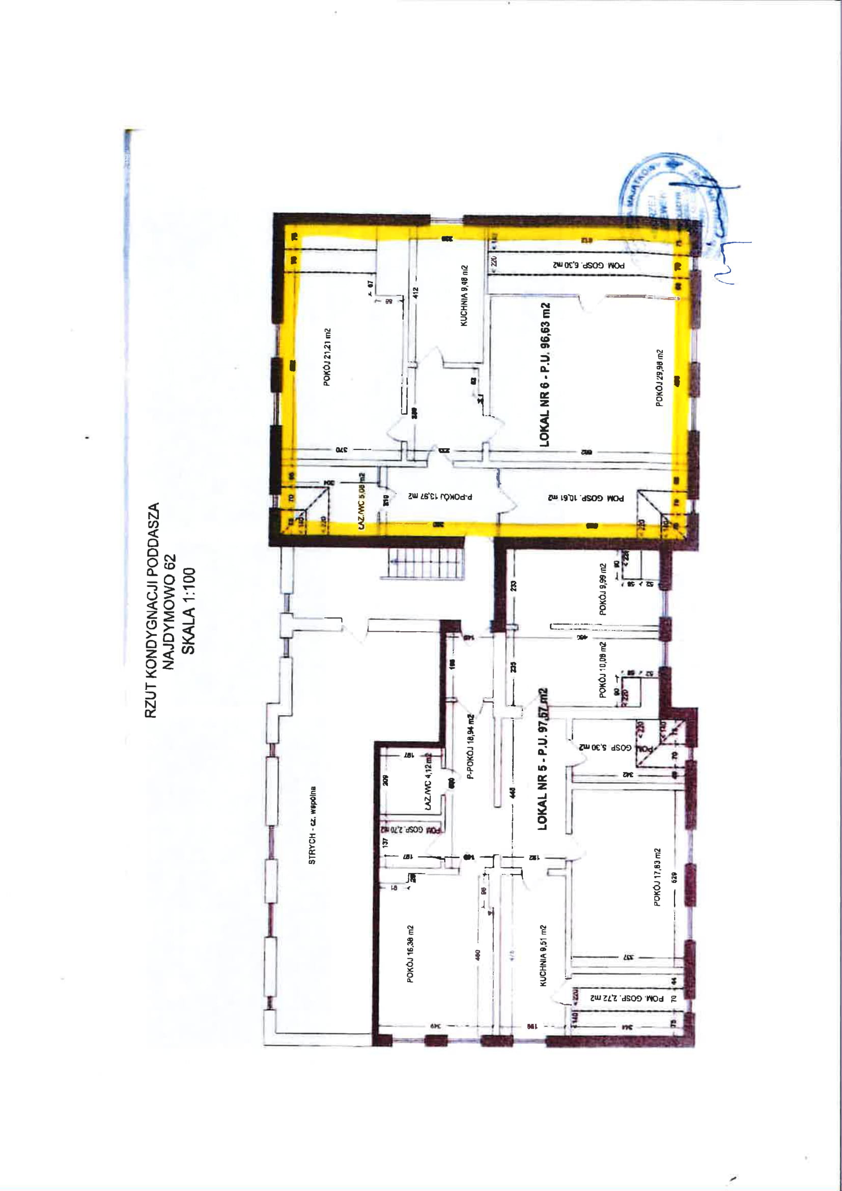
Burmistrz Biskupca ogłasza przetarg na sprzedaż lokalu mieszkalnego położonego w Najdymowie.

 

o161 1

o161 2

o161 3

o161 4

o161 5

o161 6